Get all your news in one place.
100’s of premium titles.
One app.
Start reading
ABC News
ABC News
National

Permaculture principles help young SA family regenerate sustainable dream property

Sophie Green and Joel Catchlove have regenerated their property with their children, Annika and Asher. (Supplied: Joel Catchlove)

Joel Catchlove and Sophie Green were focused on regeneration when they bought 19ha of hilltop grazing land on South Australia's Fleurieu Peninsula in 2012.

They had spent years looking for the right property to apply their permaculture knowledge before finding what would become Yarnauwi, a small, scenic farm near Second Valley, about 80km south of Adelaide.

Mr Catchlove, who had completed a permaculture design certificate at South Australian permaculture farm The Food Forest, said they arrived with "90 per cent ignorance and 10 per cent masochism".

"We had always had this sense of wanting to develop a small scale, regenerative vision for how you might regenerate a patch of land, but also be somewhat self-reliant with the community around you in terms of food and fuel," he said.

They had a mammoth task of applying permaculture principles to manage a plot of rural land that had been cultivated for cattle, sheep and hay for 170 years.

A creek running through the property was used as a dump (top image) before Joel and Sophie purchased the land and began regeneration work. (Supplied: Joel Catchlove)

Mr Catchlove said he learned the difference very quickly having come from an urban context where the scale was different and people were used to being able to control a lot of elements.

"Things look a bit dry? You water them," Mr Catchlove said.

"So there were all these things that were suddenly beyond our control."

Permaculture put into practice

With their children, Annika and Asher, Mr Catchlove and and Ms Green focused on a couple of influential permaculture ideas as they began work.

The "big one" was about observing and recording.

Mr Catchlove said it was about spending time learning about the unique capacities and limitations of their patch of land.

It involved a stream of constant questions about what was happening with the soil, fungi, plants, weather and animals.

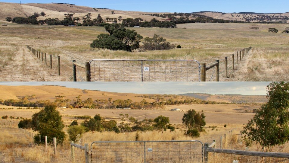
Yarnauwi as seen from the gate in 2013 (top image) and in 2022. (Supplied: Joel Catchlove)

Another is the idea of "zoning" the property by fencing it into different areas depending on the amount of energy they would need, such as house versus habitat zones.

They also asked Adelaide University's Indigenous language group Kaurna Warra Pintyanthi for a property name and were granted Yarnauwi — meaning "bald hills".

It was also a nod to nearby gathering place Yarnauwingga — to acknowledge the Kaurna people's cultural connection to the area.

"Part of the observe and interact thing for us has been about understanding the history and getting a sense of First Nations uses, but also how it's evolved over time, what the impacts have been of colonisation, and therefore [asking], 'What do we need to do to kind of help the landscape function?'," Joel said.

Regeneration on display

The proof is in the paddocks — after a decade of Joel's and Sophie's efforts, Yarnauwi is visibly thriving.

Almost 8,000 trees have been planted on the property with the help of friends, family and neighbours to draw back local fauna.

"Rebuilding habitat has always been a really big motivator for us," Mr Catchlove said.

"In the last couple of years, we've started seeing a number of those woodlands starting to return, which is really pleasing."

With the help of friends and family, Joel and Sophie have planted about 8,000 trees on the property. (Supplied: Joel Catchlove)

The Food Forest co-founder Graham Brookman said the permaculture movement hade gained traction internationally over the past 35 years.

"I think that the concept of sustainable living has exploded and permaculture is just one part of that," he said.

"Permaculture gives you the whole picture and I think that's why it's such a brilliant kind of philosophy — it's not aligned with any religious things, so it can be taught and accepted worldwide, and it doesn't have any particular political affiliation.

Mr Brookman said permaculture would only continue to grow as climate change affected farming practices, fertiliser prices rose and the world faced a potential food crisis.

"The nurseries have not been able to keep up with the demand for seedlings and seeds," Mr Brookman said.

"If you look at our local Mitre 10, it's got more organic fertilisers there than you can shake a stick at.

"So this stuff is happening. Whether people use the word permaculture or not is sort of beside the point, as long as one way or another they get that idea of holistic decision making through their heads."

Sign up to read this article
Read news from 100’s of titles, curated specifically for you.
Already a member? Sign in here
Related Stories
Top stories on inkl right now
One subscription that gives you access to news from hundreds of sites
Already a member? Sign in here
Our Picks
Fourteen days free
Download the app
One app. One membership.
100+ trusted global sources.